长辈版
无障碍
繁体中文
您的位置:
首页
> 大店镇人民政府
>
自然资源领域
>
国土空间规划编制
>
详细规划(城镇开发边界内)
信息分类:
内容分类:
详细规划(城镇开发边界内)
发文日期:
2024-12-10 11:06:27
生成日期:
2024-12-10 11:06:27
生效时间:
废止时间:
发布机构:
大店镇人民政府
文 号:
名 称:
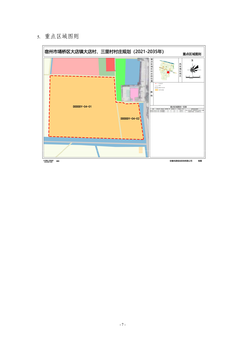
《宿州市埇桥区大店镇三里村、大店村村庄规划(2021-2035年)》方案公示公告
关
键
词:
《宿州市埇桥区大店镇三里村、大店村村庄规划(2021-2035年)》方案公示公告
文章来源: 大店镇人民政府
浏览量:
发表时间:2024-12-10 11:06
责任编辑: 大店镇人民政府
字体大小:
【
大
中
小
】
map